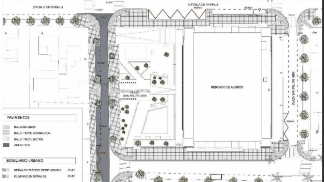
El concejal de Desarrollo Urbano, Vicent Sarria, ha informado del inicio de los trabajos de reurbanización del entorno del Mercado de Algirós, que comienzan este jueves con el objetivo mejorar la accesibilidad universal de la plaza de San Felipe Neri, uno de los espacios principales del barrio de Albors.
El proyecto supondrá una inversión de más de 145.000 euros; concretamente el presupuesto asciende a 145.135,41 € (IVA incluido), lo que permitirá llevar a cabo una acción integral de mejora urbanística y de los accesos del entorno.
La actuación incluirá la ampliación de las aceras de las calles Puebla de Farnals, Rugat y Actor Llorens. Además, en esta última se plantarán 10 nuevos árboles con su correspondiente red de riego. El concejal de Desarrollo Urbano, Vicent Sarriá, ha destacado la «importancia de continuar con la labor que estamos llevando a cabo para recuperar espacio público para las personas y mejorar la accesibilidad de toda la ciudad».
El edil también ha recordado que durante la redacción del proyecto de actuación se acordó con el Servicio de Mercados la realización de la obra en dos fases para minimizar la afección al mercado: en primer lugar, se ocupará la calle de Rugat y el tramo de Actor Llorens que afecta a la plaza San Felipe Neri y, posteriormente, se procederá a la ocupación de la calle Puebla de Farnals.
El plazo de ejecución del proyecto es de 3 meses desde el inicio de las obras.


